Escuchá esta nota
EL DIARIO digital
minutos
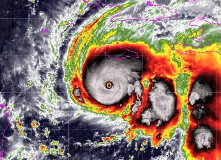
Una decena de turistas oriundos de La Pampa se encuentra varada en Jamaica debido al paso inminente del Huracán Melissa, un ciclón que alcanzó la Categoría 5 y genera alerta máxima en el Caribe.

Los pampeanos, que comparten el mismo hotel con turistas de Cipolletti, Buenos Aires y Santa Fe, debieron cancelar su vuelo de regreso a Argentina, que estaba programado para este lunes, y esperan poder retornar el próximo viernes.
Entre los pampeanos afectados se encuentran Beatriz Lucero, Susana Medina y Zulma Luparia. En diálogo con LU100, Beatriz Lucero describió la situación desde la isla, donde las autoridades han implementado medidas de prevención ante la llegada de la tormenta.
A pesar de la magnitud de la tormenta, que amenaza con ser uno de los huracanes más poderosos en la historia de Jamaica, Lucero transmitió un mensaje de calma, destacando que el grupo se encuentra alejado de la zona más crítica.
"El huracán va a afectar más la zona este, nosotros estamos a unos 80 kilómetros... si bien va a haber algún coletazo, estamos todos contenidos y muy informados sobre lo que tenemos que hacer y las medidas de prevención que hay que tener en cuenta", explicó Lucero.
La turista confirmó que la cancelación del vuelo de este lunes fue una medida preventiva de la aerolínea ante las condiciones climáticas extremas que se esperan en la región.

Jamaica en alerta máxima
El Huracán Melissa, la decimotercera tormenta con nombre de la temporada del Atlántico 2025, ha causado ya muertes y daños en Haití y República Dominicana. Su avance hacia Jamaica ha llevado a las autoridades a emitir advertencias de inundaciones "catastróficas" y a instar a la población a buscar refugio de inmediato.
Pese al contexto de riesgo, Lucero aseguró que el grupo está en contacto constante con sus familiares en La Pampa y que la situación personal de cada integrante del contingente se mantiene controlada. La expectativa ahora se centra en que las condiciones meteorológicas permitan la reanudación de las operaciones aéreas el viernes, fecha en la que esperan poder concretar el regreso a la Argentina.

Cargando comentarios...